24 сентября 2021 года накануне дня освобождения Смоленщины и в 80-й годовщины Вяземской оборонительной операции, на воинском мемориале в селе Богородицком прошло памятное мероприятие.
В нем приняли участие представитель администрации Вяземского района, сотрудники музея-заповедника «Хмелита» и старший священник Спасо-Богородицкого Одигитриевского женского монастыря иеромонах Даниил (Сычёв).
Отец Даниил совершил заупокойную литию о вождях и воинах, павших за наше Отечество в ожесточенных боях с немецко-фашисткими захватчиками, и погребенных в братских могилах на Богородицком поле.
В настоящее время на мемориале в Богородицком захоронено более двух тысяч останков воинов, из них опознано 211.
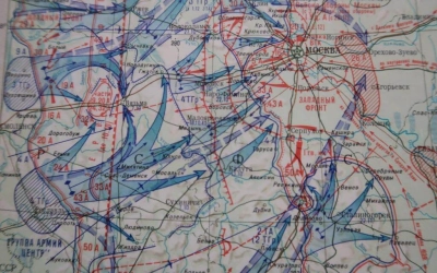
- Трагическая страница первого периода Великой Отечественной войны связана с так называемым «Вяземским котлом», или официально - Вяземской оборонительной операцией, в которой в первой половине октября 1941 года участвовали войска Западного и Резервного фронтов. Цель этой операции - задержать наступление главных сил немецкой группы армий «Центр» на Московском направлении. В результате прорыва немецко-фашистских войск на флангах Западного фронта в окружение под Вязьмой попали пять армий (16А, 19А, 20А, 24А, 32А), в состав которых входили и несколько дивизий Московского народного ополчения. На Вяземском ратном поле, окруженные войска Красной Армии под командованием генерал-лейтенанта М.Ф. Лукина, около двух недель своими активными действиями сковывали 28 гитлеровских дивизий, из которых половина до середины октября не смогла принять участие в дальнейшем наступлении на Москву. Героические бои в районе Вязьмы позволили советскому командованию выиграть время для организации сопротивления под Москвой. Ценой сотен тысяч жизней наших воинов было заплачено за сдерживание противника под Вязьмой. Точная цифра погибших не установлена до сих пор! Многие попали в плен, а оставшиеся в тылу врага позже примкнули к партизанам Смоленщины. Часть войск вырвалась из окружения и, выйдя на оборонительный рубеж под Можайском, влилась в ряды защитников столицы.
- «Благодаря упорству и стойкости, которые проявили наши войска, дравшиеся в окружении в районе Вязьмы, мы выиграли драгоценное время для организации обороны на Можайской линии. Кровь и жертвы, понесенные войсками окруженной группировки, оказались не напрасными». Маршал Г. К. Жуков.
- «Есть сражения, в которых наши войска сыграли не менее важную роль в обороне Москвы, чем те, которые непосредственно обороняли столицу. …Наши солдаты и офицеры не сдавались в плен, а непрерывно вели ожесточенные бои, нанося удары по немецко-фашистским войскам, стремясь выйти из окружения. Своими действиями они сковали более третьей части сил центральной группы армий, имеющей задачу захватить Москву». Генерал армии В.И. Варенников.
Записка бойца Степана Маркеловича Крутова, попавшего в плен под Вязьмой. «10 октября 1941 г. Дорогие русские люди, соотечественники, не забывайте нас мы, что могли бороться боролись с фашистским псом. Ну, вот пришел конец. Нас захватили в плен, раненых. Истекаем кровью, и морят голодом. Издеваются над нами, гонят нас насильно в Починки. А дальше (что) будет, не знаем. Много народу уже померло от голода и побоев. Кто найдет эту записку, пускай ее передаст в любые органы власти. В сельсовет, или в колхоз, или в Архив. Может быть, останутся люди живы, кто-нибудь на русской земле, Не может быть, чтобы эти гады всех перебили. Кто после нас будет жив, пускай помнит, что мы боролись за свою Родину, любили ее как мать. Мы непобедимы. Я рядовой красноармеец 45 танковой дивизии 58 полка Крутов Степан Маркелович. Рож. 1915-го Горьковской обл., Ковернинского района, Сратеевского с/с, д.Липаново.».
















